皇冠信用网如何申请_上海明后天将有大暴雨,或为1981年以来11月最大降雨
皇冠信用网在线注册(输入9990088.com)皇冠_官方信用网线上直营平台,皇冠信用网代理帐号申请、信用网会员注册受今年第21号台风“康妮”外围环流和冷空气共同影响,31日傍晚到11月1日,上海市有大暴雨,过程雨量120~180毫米,东南部可达220~280毫米,最大小时雨强40~70毫米,降水具有极端性,有可能成为1981年以来11月最大降水过程;31日夜里起风力逐渐增大,11月1日最大陆地阵风8~9级,洋山港区阵风10~11级皇冠信用网如何申请。
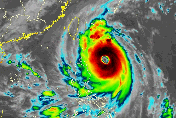
台风“康妮”动态:加强为超强台风皇冠信用网如何申请,逐渐向台湾岛靠近

今年第21号台风“康妮”,今天早晨增强为超强台风,11时其中心位于距离台湾省台东市东南约520公里的太平洋洋面上,中心附近最大风力有17级,中心最低气压为925百帕,七级风圈半径380~480公里皇冠信用网如何申请。
预计“康妮”将以每小时15~20公里的速度向西北方向移动,强度还将有所增强,将于31日中午到下午在台湾岛南部或中部登陆,尔后沿浙闽沿海一带近海北上(也可能在上述沿海地区登陆或擦过),强度迅速减弱皇冠信用网如何申请。

台风外围联手冷空气皇冠信用网如何申请,周四傍晚至周五大暴雨

展开全文
降水预报:注意防范大暴雨
受“康妮”外围环流和冷空气共同影响,10月31日下午起上海市将出现阵雨天气,傍晚开始雨势增强,强降水将持续到2日凌晨,降水集中时段出现在31日半夜至11月1日白天皇冠信用网如何申请。过程累积雨量大暴雨(120~180毫米),上海市东南部地区雨量更显著(局部可达220~280毫米),可能成为上海市1981年以来11月最大降水过程。
注意防范大风
31日夜里起上海市风力逐渐增大,11月1日最大陆地阵风8~9级,高层建筑及沿江沿海地区阵风9~10级,洋山港区阵风10~11级,2日下午风力逐渐减弱皇冠信用网如何申请。
天气提示
台风影响前可适量储备饮用水和食物皇冠信用网如何申请。台风影响期间尽量减少外出。
防范大风皇冠信用网如何申请。妥善收起室外物品,防止高空坠物。不要在临时建筑物附近躲避风雨,车辆停靠远离大树等。
此次过程具有极端性,强降水可能造成局部积水,如在户外注意不要轻易涉水皇冠信用网如何申请。
“康妮”影响期间正值天文大潮期,注意提防风暴增水影响,低洼处有需注意防范皇冠信用网如何申请。
此次过程对交通有较大影响,注意及时了解出行信息皇冠信用网如何申请。
注意及时了解预报预警信息皇冠信用网如何申请。
后期天气趋势:下周冷空气影响皇冠信用网如何申请,气温进一步下降
明天上海逐渐受到“康妮”外围影响,云系增多,下午开始转雨,全天气温在18~23℃之间皇冠信用网如何申请。明天夜间到周五降雨明显,同时风力增大。降雨和冷空气影响,周五和周六气温下降,最高气温仅20℃。周日上海天气恢复平静。下周还有一次冷空气过程,上海以多云天气为主,气温进一步下降。

猜你喜欢
- 2026-04-07皇冠足球平台申请_迟重瑞为妻子陈丽华光头36年,每天晚饭全家人一起吃,没有红过一次脸,有说不完的话
- 2026-04-06正版皇冠信用网开户_中国U16女足4球完败日本队,再度获得蒙太古杯亚军
- 2026-04-03皇冠信用网会员注册网址_厦门市委书记调整
- 2026-04-03皇冠信用网账号申请_江苏一女子在动物园表演时被火圈烧着裙子
- 2026-04-03皇冠信用网登2_“感谢救我一命”32岁博主嘴唇发紫被粉丝催检查,背上动态检测仪心脏停搏2次,最长3.1秒,医生:很危险,停搏不启动就叫猝死
- 2026-04-03皇冠信用网登3出租_今麦郎手打挂面的“手打”系商标,多个官方旗舰店已停售,客服回应:进行品牌升级而下架
- 2026-04-03皇冠信用网结算日是哪天_弟弟操办父亲丧事墓碑漏刻姐姐名字,法院判加名并赔偿
- 2026-04-02皇冠登录地址_中国女排公布首批集训名单剑指奥运门票
- 2026-04-02皇冠登3代理申请_女子称夜里打车,司机向其展示腹肌并邀请触摸,拒绝后对方突然将手伸至后座,触摸其手部和腿部!当事人:已报警并在平台举报
- 2026-04-01皇冠登1登2登3出租_哈尔滨网红女企业家朱明月去世,年仅41岁
- 2026-03-31皇冠信用怎么弄_美媒:伊朗打得太准了!导弹打出史诗级效果,四枚导弹都落入美军基地
- 2026-03-29皇冠信用网庄家_今年北京第一场春雨晚间到货,明天有6级风!


网友评论